Przerwa w dostawie wody – 22 kwietnia 2026 r.
Dzisiaj
17.04.2026 r.
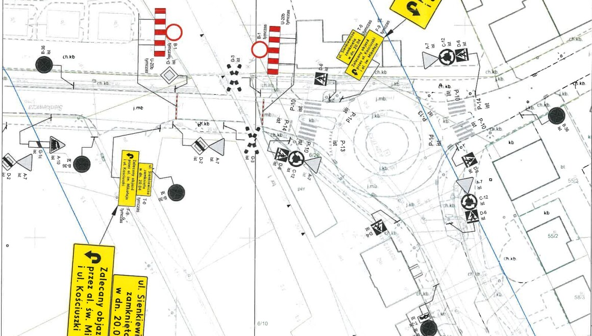
Uprzejmie informujemy, że w dniu 20 kwietnia 2026 r. (poniedziałek) nastąpi zmiana organizacji ruchu na ul. Sienkiewicza w związku z realizacją projektu pn.: „Zapewnienie dostępu kolejowego do elektrowni jądrowej Lubiatowo – Kopalino”.
Zmiana obowiązuje jedynie w dniu 20.04.2026 r.
Prosimy o stosowanie się do obowiązującego oznakowania (rysunek dołączony do komunikatu)
Dzisiaj
Wczoraj
17 Kwiecień
16 Kwiecień
16 Kwiecień
15 Kwiecień
14 Kwiecień
14 Kwiecień
14 Kwiecień
13 Kwiecień
09 Kwiecień
09 Kwiecień